Hunting.bio
Register
Login
Home
hunting
Photoquiz
Flora & fauna
Hunting Gear
Hunting Videos
Updates & insights
>
Videos
>
Deermeatfordinner
>
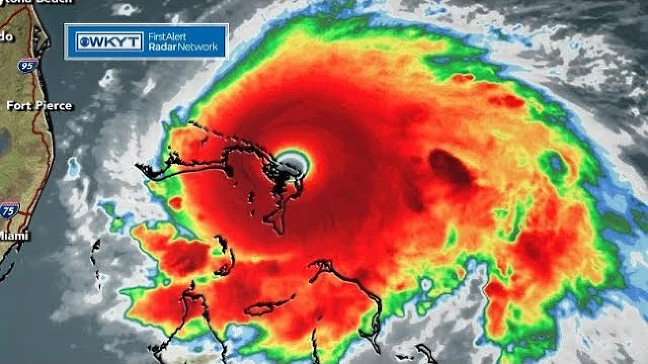
Hurricane-dorian-a-message-of-hope-please-watch-00001
Load video (uses YouTube cookies )
Wed, Sep 4, 2019, 12:01 AM
| reading time: 1 minute
Hunting.bio
Register
Login
Menu